شرکت بازرگانی رازبان
06134413177
منو
  • صفحه اصلی
  • درباره رازبان
  • محصولات
    • بذر یونجه
    • سم
    • کود شیمیایی
    • کودهای زیستی
    • تجهیزات و ابزار
  • آموزش
    • گیاه یونجه
    • دانستنی‌های کشاورزی
    • مقالات
  • سوالات متداول
  • اخبار کشاورزی
  • تماس با ما
درخواست نمونه بذر
درخواست نمایندگی
19 بهمن 1399

آشنایی با علف های هرز مزارع یونجه

آشنایی با علف های هرز مزارع یونجه

مدیریت علف های هرز برای تولید یونجه بسیار ضروری است. علف های هرز با ایجاد رقابت در استفاده از فضا، مواد غذایی، نور و آب و نیز كاستن از كیفیت یونجه برداشت شده، می توانند آسیب و زیان های فراوانی را ایجاد كنند.


مدیریت علف های هرز در مزارع یونجه (Weed management in alfalfa fields)

مدیریت علف های هرز برای تولید یونجه بسیار ضروری است. علف های هرز با ایجاد رقابت در استفاده از فضا، مواد غذایی، نور و آب و نیز كاستن از كیفیت یونجه برداشت شده، می توانند آسیب و زیان های فراوانی را ایجاد كنند. علف های هرز یونجه در سه زمان باعث ایجاد آسیب و زیان می شوند:

  1. پیش از استقرار كامل گیاه
  2. در مرحله گیاهچه ای
  3. پس از استقرار كامل

ایجاد یك یونجه زار خوب بدون علف های هرز چند ساله بسیار مهم است. علف های هرزی مانند پیچك صحرایی، تاج ریزی برگ نقره ای، اویار سلام زرد و قیاق جزو علف های هرز بسیار خطرناك بوده كه در صورت وجود آنها در كشتزار باید پیش از كاشت یونجه با آنها مبارزه كرد. علف های هرز بیشترین تأثیر خود را در مرحله گیاهچه ای روی گیاه می گذارند. در این مرحله اگر رقابت بین گیاه زراعی و علف هرز بالا باشد می تواند باعث استقرار نیافتن مناسب گیاه زراعی شود. بررسی ها نشان داده است، یونجه هایی كه در زمین هایی با هجوم بالای علف هرز رشد كرده اند با كاهش 9% در میزان پروتئین رو به رو شده اند. ولی در زمین هایی كه با علف هرز به خوبی مبارزه شده است با افزایش 20% پروتئین یونجه روبه رو بوده اند. مبارزه با علف هرز در هنگام استقرار اولیه یونجه بسیار مهم است زیرا یونجه در ادامه قابلیت رقابتی بالایی در برابر علف های هرز دارد.

علف های هرز یونجه زار

انواع مختلفی از علف های هرز در یونجه زار رشد می كنند.علف های هرز را بر پایه ویژگی های مختلف به دسته های یكساله، دوساله یا چندساله، پهن برگ یا باریك برگ، بهاره یا زمستانه می توان تقسیم كرد. از لحاظ روش افزونش نیز به افزونش بذری و افزونش از طریق اندام های رویشی دسته بندی می شوند. از آنجائی كه نوع مبارزه با علف های هرز بر پایه نوع دسته بندی یاد شده متفاوت می باشد، لذا شناخت چرخه زندگی، روش افزونش، چگونگی انتشار و روش های مبارزه با علف های هرز مختلف در میزان موفقیت عملیات كنترل آن ها بسیار مؤثر خواهد بود. مهم ترین علف های هرز رایج یونجه زارها و ویژگی های هر یك از آن ها در جدول آورده شده است.

جدول علف های هرز یونجه

جدول علف های هرز یونجه

در این قسمت به بررسی گیاه انگلی سس كه یكی از مهم ترین علف های هرز در یونجه زارها یونجه است می پردازیم:

سس (Cuscuta spp.)

گیاه انگل گلدار سس، گسترش جهانی دارد و به طیف گسترده ای از گیاهان حمله می كند. بیش از 150 گونه سس در جهان وجود دارد. این گیاه توسط بذر افزونش شده و هیچ برگ یا (كلروفیلی) ندارد و برای رشد خود (نیاز به آب، مواد معدنی و كربوهیدرات) به گیاهان دیگر وابسته است. سس هوای گرم و آفتابی را می پسندد. در این شرایط سرعت رشد رشته های آن گاهی تا 8 سانتی متر در روز بالغ می شود. سس دارای ساقه نخی شكل زرد رنگ است و ساقه خود را روی ساقه گیاه میزبان چسبانده و توسط اندام های مكنده وچسبنده از گیاه میزبان تغذیه می كند. گل های آن ریز، سفید رنگ یا صورتی و به صورت خوشه ای است. بذر سس دو حجره ای، ریز و دارای پوسته های به تقریب نفوذ ناپذیر به اكسیژن است و از این رو می تواند تا 20 سال به حالت خواب در خاك باقی بماند. سس یونجه علاوه بركاهش كمی محصول، در صورت اختلاط با علوفه باعث كاهش ارزش اقتصادی آن ها نیز می شود. در یونجه زارهای تولید بذر نیز اختلاط بذر یونجه با سس باعث افت قیمت و كاهش بازارپسندی بذر یونجه آلوده به سس می شود. یك بوته سس با پیشروی خود می تواند لك های به قطر 3 متر در یك یونجه زار به وجود آورد. در آلودگی شدید 100 - 80 درصد یونجه زار را می پوشاند كه در این هنگام با جذب مواد غذایی و جلوگیری از رسیدن نور به یونجه به شدت رشد و نمو گیاهان میزبان را مختل می سازد و آن را نابود می كند. در بهار دانه های سس در نزدیكی سطح خاك جوانه زده و با ساقه ای نازك آغاز به بالارفتن می كند كه ممكن است به رنگ های سبز روشن، زرد و نارنجی باشد. این ساقه نازك به آرامی در هوا حركت كرده و به چرخش در می آید تا هنگامی كه یك برگ و یا ساقه را لمس كند و پس از آن به سرعت آغاز به پیچیدن به دور آن می كند.

علف هرز سس

سس بی درنگ زائده كوچكی (Haustoria) كه مكنده كوچك و ریشه مانند است را درون گیاه كرده و به وسیله آن مواد غذایی و آب مورد نیاز خود را برای رشد خود، تامین می كند. به زودی پس از اتصال به گیاه میزبان، آن قسمت از سس كه به زمین متصل است آغاز به پژمرده شدن كرده و ارتباطش با زمین قطع می شود. در همین حال قسمت های بالایی به سرعت درحال رشد هستند كه اغلب منجر به تشكیل توده های متراكم نخ مانند می شوند. با این حال اگر سس در مدت كوتاهی پس از جوانه زنی قادر به برقراری ارتباط با گیاه میزبان نشود به زودی از بین می رود. گل های سس كوچك، سفید تا صورتی، در خوشه های كوچك درطول ساقه و بسیار پر شمار هستند، هر گل یك غلاف كروی كوچك دارای 2 تا 4 دانه تولید می كند. این دانه ها دارای پوشش ضخیم و در اندازه های متفاوت (بسته به گونه) هستند و می توانند تا 20 سال در درون خاك زنده بمانند.

نمونه ای از غلاف سس

نمونه ای از غلاف سس

جوانه زنی بذر سس

جوانه زنی بذر سس

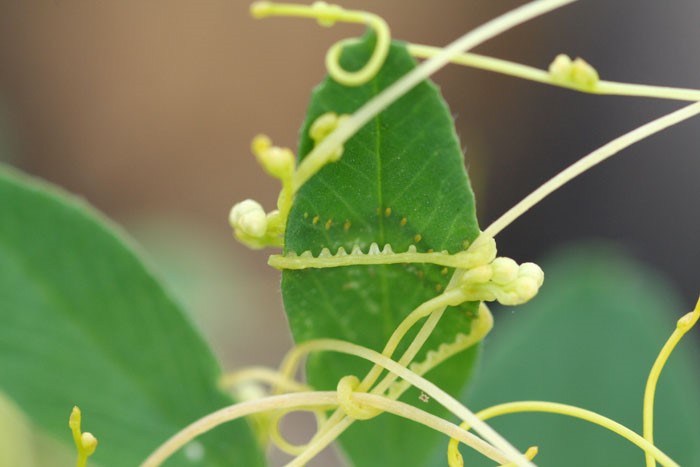
تولید گل و غلاف توسط سس بر روی گیاه میزبان

تولید گل و غلاف توسط سس بر روی گیاه میزبان

آلودگی لکه ای و شدید یونجه زار به سس

آلودگی لکه ای و شدید یونجه زار به سس

مديريت و كنترل آلودگی به سس يونجه

پیشگیری : مدیریت پیشگیرانه شامل كاشت بذر یونجه سس گیری شده، پاك نمودن ماشین ها و ادوات كشاورزی و مدیریت توده های سس موجود در یونجه زار پیش از آن كه تولید بذركنند. هجوم سس در سطح كوچك را می توان به صورت دستی كنترل كرد، ولی درصورت وجود هجوم گسترده، حذف گیاه میزبان و در صورت امكان كاشت گیاه غیر میزبان می تواند صورت گیرد.

كنترل زراعی : كاشت گیاه زراعی غیر میزبان (مانند ذرت و سورگوم)، گیاهان زراعی زمستانه (گندم زمستانه، حبوبات، و...) در كنترل سس مؤثر است. برخی علف های هرز پهن برگ مانند خرفه، سلمه تره و پیچك كه می توانند به عنوان میزبان سس به شمار آیند به عنوان بخشی از مدیریت كنترل زراعی باید مد نظر قرار گیرند. به دلیل طول عمر بالای سس در خاك پس از كاشت گیاه میزبان در سال بعد باید زمین به صورت منظم مورد بررسی قرار گیرد و در صورت دیدن سس باید بی درنگ با آن مبارزه كرد.

كنترل مكانیكی : آلودگی سس را می توان با كنترل دستی، آتش زدن و بریدن گیاهان آلوده كاهش داد.

از بين بردن سس توسط آتش مديريت شده

از بين بردن سس توسط آتش مديريت شده

كنترل شیمیایی : چندین علف كش پس از ظهور و پیش از ظهور برای كنترل سس می توان استفاده كرد. علفكش های پیش از ظهور (كه پیش از جوانه زنی سس به كار برده می شوند) شامل : كرب، ترفلان، پراول هستند و می توان به علفكش های پس از ظهورمانند:داكتال، راپتور، پرسوییت و گراماكسون اشاره كرد. كاربرد رانداپ می تواند برای مبارزه با آلودگی لكه ای سودمند باشد. با این حال استفاده از آن می تواند برای گیاهان زراعی كه به رانداپ مقاوم نیستند آسیب رسان و زیانبار باشد.

مدیریت علف های هرز مزرعه یونجه

نخستین گام در مبارزه با علف های هرز شناسایی درست آن ها است. علف های هرز یونجه زارها به طور معمول به 3 دسته اصلی تقسیم می شوند :

  1. پهن برگ
  2. باریك برگ
  3. جگن ها (مانند اویارسلام و زنبق كه با ساقه مثلثی خود شناخته می شوند)

علف های هرز هر یك از این دسته ها را می توان بر پایه چرخه زندگی شان به سه دسته یكساله، دوساله و چندساله تقسیم بندی كرد. علف های هرز یك ساله و دو ساله از طریق بذر تولید مثل و گسترش می یابند. مدیریت علف های هرز چند ساله به دلیل داشتن ساختارهایی مانند نیساگ (ریزوم)، دستك (استولون) یا ریشه های زیرزمینی با جوانه های نابجا و... بسیار دشوار است. دو گروه عمده از علف های هرز چند ساله وجود دارند، علف های هرز چند ساله ساده و خزنده. نوع ساده آن مانند پنیرك و گل قاصد از طریق بذر انتشار یافته و به طورمعمول از طریق رویشی افزونش و گسترش نمی یابند. با این حال اگر ریشه های آنها بریده و قطعه قطعه شود، هر قطعه قابلیت رشد دوباره را دارد. علف های هرز چند ساله خزنده، هم ازطریق بذر و هم از طریق رویشی افزونش پیدا می كنند.

چهار راهبرد اصلی در مدیریت علف های هرز در یونجه زار وجود دارد:

  • مبارزه پیشگیرانه
  • مبارزه مكانیكی
  • مبارزه زراعی
  • مبارزه شیمیایی

كنترل پایدار علف های هرز نیاز به یك نظام تلفیقی از 4 روش بالا دارد.توجه به جدول دو در این زمینه می تواند راهگشا باشد.

مبارزه پیشگیرانه : مهم ترین بخش در مدیریت علف های هرز همین مدیریت پیشگیرانه است. زیرا گام نخست جلوگیری از ورود علف های هرز به منطقه است. این نوع مبارزه شامل: مدیریت بر زمین های كشت نشده اطراف یونجه زار، كنترل علف های هرز پیش از كاشت گیاه، كاشت بذرهای گواهی شده و كنترل و پاك كردن ماشین ها و ادوات كشاورزی می باشد.

مدیریت زراعی : مهم ترین مسئله در مدیریت زراعی موضوع رقابت یونجه با علف های هرز است. حفظ باروری مناسب خاك و مبارزه با هرگونه بیماری و آفت به استقرار خوب یونجه و رقابت آن با علف ها هرز كمك می كند. كشاورزان برای حفظ حاشیه ای رقابت یونجه در برابر علف های هرز، اگر از آبیاری غرقابی استفاده می كنند باید به زمان درست قطع آبیاری نیز توجه داشته باشند. زیرا وجود حالت غرقابی در یونجه زارها شرایط را به سود تهاجم علف های هرز تغییر می دهد. اگر پس از برداشت یونجه، بی درنگ آبیاری انجام شود، رطوبت اضافی باقی مانده در خاك می تواند شرایط مناسب برای علف های هر ز یكساله تابستانه را فراهم كند. زیرا در این شرایط یونجه ها رشد دوباره كافی برای سایه اندازی بر علف های هرزی كه با آنها رقابت دارند را نخواهد داشت.

وجود علف های هرزی مانند خاكشیر تلخ و شیرین باعث افت كیفیت یونجه می شود. بدین منظور می توان این گونه یونجه زارها را به وسیله دروگرعلوفه (موور بشقابی) در اوایل اردیبهشت برداشت كرده و سپس با آبیاری یونجه زار موجبات ایجاد محصول یكدست بدون آلودگی در چین اول را فراهم كرد.

مبارزه مكانیكی : به دلیل تراكم بالای یونجه به طور معمول مبارزه مكانیكی بین ردیفی كمك كمی به كنترل علف های هرز می كند. در یونجه زارهای سه ساله به بالا كه تراكم و نوع علف های هرز، قابل توجه است، می توان آن ها را در اواخر زمستان با شعله افكن سوزاند. در این زمان هنوز گیاه اصلی در خواب یا در پایان دوره خواب است با اجرای این روش علف های هرزی مانند شاخ برسر، خاكشیر تلخ و شیرین و حتی بذر سس سوخته و از بین می رود و از سویی دیگر بر اثر گرم شدن خاك، جوانه زنی گیاه جلو می افتد.

مبارزه شیمیایی : انواع علف كش های مورد استفاده در جدول زیر نشان داده شده است ولی باید در هنگام استفاده به دقت برچسب روی این علف كش ها را مطالعه كرد (اطلاعاتی مانند زمان بندی استفاده، میزان كاربرد، علف هرزهای كنترل كننده، محدودیت چرا، محدودیت تناوب).

اصول كلی در مبارزه با علف های هرز مزرعه یونجه :

الف - در مزارعی كه جدیداً احداث می شوند:

شخم مناسب و به موقع و سپس آماده سازی بستر كاشت بعد از بارندگی

چیدن علف های هرز به كمك مور قبل از گل دهی و از ارتفاع 7 تا 8 سانتی متری سطح زمین (بدون وارد آمدن تنش به جوانه های یونجه)

ب - در مزارع از پیش احداث شده :

شخم زدن و آیش گذاشتن زمین در تابستان و یا اجرای تناوب زراعی در آن به ویژه برای كنترل علف های هرز چندساله

ایجاد زهكش و خروج آب اضافی از زمین

درو یونجه قبل از هر بار به بذر نشستن علف های هرز

بهترین موقع برای مبارزه مكانیكی علیه علف های هرز، اواخر زمستان یا اوایل بهار است. اجرای روش های زراعی و وجین گراس های چند ساله و یكساله را بایستی اوایل بهار و بلافاصله بعد از اولین برداشت محصول انجام داد.

بهترین وسیله برای اجرای روش های زراعی هرس های دندانه فلزی و كولتیواتورهای با دندانه های كوچك و محكم است. در موقع استفاده از هرس یا كولتیواتور، باید سعی شود كه حداكثر تاعمق 3 تا 5 سانتی متری خاك خراش داده شود.

خلاصه مطالب فوق

  • علف های هرز برای دریافت فضا، مواد غذایی، نور و آب با گیاه یونجه رقابت كرده و موجب آسیب و زیان فراوان به یونجه زار می شوند.
  • علف های هرز بیشترین تاثیر خود را در مرحله گیاهچه ای روی گیاه یونجه دارند و مبارزه با علف های هرز در زمان استقرار اولیه یونجه بسیار مهم است.
  • علف های هرز یونجه زار را می توان بر پایه ویژگی های مختلف به دسته های یكساله، دوساله یا چند ساله، باریك یا پهن برگ و بهاره یا زمستانه تقسیم كرد.
  • با توجه به اینكه مبارزه با علف های هرز بر پایه نوع دسته بندی متفاوت است، لذا شناخت چرخه زندگی آنها، روش افزونش، چگونگی انتشار و روش مبارزه با علف های هرز مختلف در میزان موفقیت عملیات مدیریت آن ها بسیار موثر است.
  • سس یكی از مهم ترین علف های هرز یونجه است. این انگل توسط بذر افزونش شده و هیچ برگ و سبزینه ای ندارد و برای رشد خورد به گیاهان دیگر وابسته است.
  • وجود سس در یونجه زار علاوه بر كاهش كمی محصول، در صورت اختلاط با علوفه باعث كاهش ارزش اقتصادی آن نیز می شود.
  • مدیریت پیشگیرانه، كاشت گیاه زراعی غیر میزبان، كنترل مكانیكی و كنترل شیمیایی از روش های مبارزه با انگل سس هستند.
  • مهم ترین روش مبارزه با علف های هرز، مدیریت پیشگیرانه است كه شامل مدیریت بر زمین های كاشت شده اطراف یونجه زار، كنترل علف های هرز پیش از كاشت گیاه، كاشت بذرهای گواهی شده و كنترل و پاك كردن ماشین ها و ادوات كشاورزی می باشد.
  • در جدول بالا، با توجه به نوع علف هرز (باریك یا پهن برگ) و همچنین وضعیت رشدی گیاه یونجه (پیش از استقرار، مرحله گیاهچه ای و یا پس از استقرار كامل) انواع علفكش های شیمیایی پیشنهاد شده است. 

 

اشتراک گذاری:

مطالب مرتبط
    شناسایی و کنترل بیماری های یونجه
    شناسایی و کنترل به موقع بیماری ها در مزارع یونجه یکی از عوامل موفقیت در کشت و نگه داری مزارع یونجه می باشد که میتواند در افزایش عمر مفید گیاه تاثیر به سزایی داشته باشد.
    اطلاعات بیشتر
    19 بهمن 1399
    شناسایی و کنترل آفات در مزارع یونجه
    بررسی یونجه زارها از نظر وجود گونه های آفات و مدیریت اصولی و كارآمد آن ها می تواند به طور چشمگیری از كاهش عملكرد ناشی از حمله آن ها جلوگیری كند. با توجه به وفور حشرات در یونجه زارها، تشخیص آفات یك مرحله حساس در تولید این گیاه زراعی به شمار آمده و در...
    اطلاعات بیشتر
    19 بهمن 1399
    آشنایی با گیاه انگلی سس - راه های مبارزه با علف هرز سس (Cuscuta sp)
    گیاه سس با نام های علمی Cuscuta sp و Grammica sp از جنس های گیاهان پیچنده با 100-170 گونه می باشد.
    اطلاعات بیشتر
    26 اسفند 1399
    آشنایی و راه های مقابله با علف هرز اویارسلام یا آبیارسلام (Cyperus rotundus)
    گیاه اویار سلام که بیشتر به عنوان علف هرز در مزارع  از آن یاد میشود گیاهی است یک ساله که بیشتر در کشتزارهای آبی بویژه در مزارع یونجه و شالیزارها یافت می‌شود.
    اطلاعات بیشتر
    25 اسفند 1399
    آشنایی و راه های مقابله با علف هرز پنجه مرغی  Cynodon dactylon (L.) 
    پنجه مرغی از علف‌های هرز سمجی است که بیشتر در مناطق گرم می‌روید و در اکثر باغات میوه و مزارع یونجه و حتی زمین‌های بازی و چمن‌زارها، کنار جاده‌ها و بخصوص محصولات زراعی یک‌ساله و زمین‌های بایر ایجاد مزاحمت می‌کند. در این مطلب به بررسی ویژگیهای ا...
    اطلاعات بیشتر
    25 اسفند 1399
    آشنایی با آفت سرخرطومی برگ یونجه و راه های مقابله با آن
    يکی از آفات مهم گیاه  يونجه ، سرخرطومی برگ يونجه است که در اکثر مناطق يونجه کاری کشور شيوع دارد.
    اطلاعات بیشتر
    26 اسفند 1399

نظرات
    نام
    ایمیل
    نظر
درخواست نمونه بذر درخواست نمایندگی
  • درباره رازبان
  • بذر یونجه
  • آموزش
  • اخبار
  • سوالات متداول
آدرس: رامهرمز - خیابان طالقانی - پاساژ احمدی
تلفن های تماس دفتر : 06143520137
مدیر فروش : 09166025161
telegram
whatsapp
facebook
instagram
twitter
Design by webcade
X

مشاوره در واتساپ

درصورتیکه نیاز به مشاوره دارید میتوانید از طریق لینک زیر در واتس‌آپ با کارشناسان در ارتباط باشید.

ارسال پیام